Топографическая съёмка — комплекс работ, выполняемых с целью получения съёмочного оригинала топографических карт или планов местности, а также получение топографической информации в другой форме (ГОСТ 22268-76) [5].
Топографическая съемка необходима для целей проектирования при строительстве зданий и сооружений, для экономического обоснования вложения инвестиций в строительство, для прокладки инженерных коммуникаций, для созданий генерального плана застройки территории и для работ по вертикальной планировке.
Проведение инженерно-геодезических изысканий при проектировании инженерных сооружений является необходимым условием предпроектных работ. В результате проведения топографической съемки изготавливается топографический план.
Топографическим планом называют чертеж элементов ситуации, рельефа местности и прочих имеющихся объектов территории с указанными метрическими и техническими характеристиками, выполненными с помощью принятых условных знаков.
Топографический план позволяет определить высоту изображенного на нем объекта, а также измерить его координаты и линейные размеры. Обычно подготавливает топографический план в двух видах: на бумажной основе и цифровой.
Топографические планы включают в себя масштабы от 1:10000 до 1:100 для удобного отображения на них различных объектов.
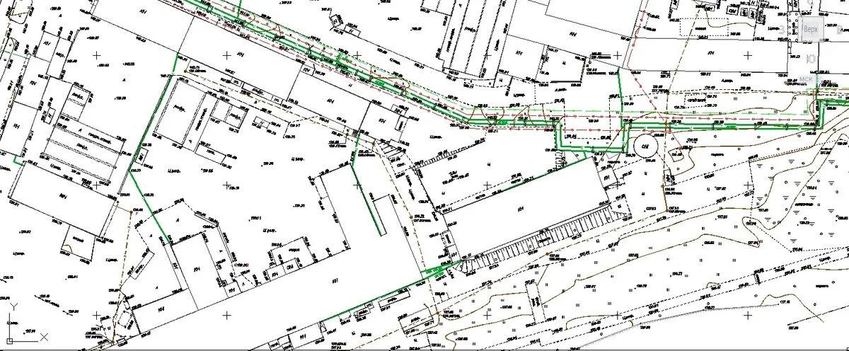
Пример фрагмента топографического плана производственной территории представлен на рисунке 1.

Топографическая съемка местности при инженерно-геодезических изысканиях делится на большое количество видов:
- теодолитная съемка;
- тахеометрическая съемка;
- мензульная съемка;
- нивелирование;
- наземная фототопографическая съемка;
- стереотопографическая или аэрофотосъемка;
- комбинированная аэрофототопографическая съемка;
- спутниковая съемка;
- лазерное сканирование;
- фасадная съемка.
Их различия обуславливаются точностью, сферой использования и актуальностью использования. Познакомимся с несколькими из них.
Тахеометрическая съемка выполняется тахеометрами (либо теодолитами) для получения плана с изображением рельефа горизонталями. При такой съемке углы измеряют в вертикальной и в горизонтальной плоскостях. Расстояния определяют по дальномеру.
Спутниковые геодезические измерения выполняют с помощью аппаратуры, работающей по сигналам спутников навигационных систем GPS (Global Positioning System, США) и ГЛОНАСС (Глобальная навигационная спутниковая система, Россия). В Европейском союзе ведутся работы по созданию еще одной системы — GNSS-2 "GALILEO".
Наземное лазерное сканирование осуществляют с помощью съёмочной системы, измеряющей с высокой скоростью (от нескольких тысяч до миллиона точек в секунду) расстояния от сканера до поверхности объекта и регистрирующая соответствующие направления (вертикальные и горизонтальные углы) с последующим формированием трёхмерного изображения (скана) в виде облака точек.
Стереотопографическая или аэрофотосъемка — съемки, выполняется специальным фотоаппаратом АФА с самолета. Она производится в сочетании с наземными геодезическими действиями, необходимыми для привязки снимков.
Рассмотрим подробнее этапы проведения топографо-геодезических работ состав входящих в них мероприятий.
Топографо-геодезические работы (инженерно-геодезические изыскания) делятся на три основных этапа выполнения:
- подготовительный;
- полевой;
- камеральный.
Подготовительный этап включает в себя подготовку заказчиком технического задания на геодезические изыскания. Необходимо получить разрешение на проведение топографо-геодезических работ в местном Управлении Архитектуры и градостроительства. После этого приступают к сбору материалов и данных на заданную территорию, производят их анализ. Получают сведения о наличии подземных коммуникаций, проходящих на объекте. Устанавливают координаты и высоты геодезических пунктов. При работе с юридическими лицами подготавливают программу топографо-геодезических работ с учетом требований технического задания заказчика.
Следующим этапом является полевой, при котором производят обследование района работа и рекогносцировку местности, а также выполняют комплекс топографо-геодезических работ (создают опорную геодезическую сеть, ведут полевой контроль измерений).
Заключительным этапом принято считать камеральную обработку данных. Производят оценку точности полевых измерений, создают на основе собранных материалов цифровую модель местности. Подготавливают топографический план с нанесением на нем имеющихся подземных коммуникаций. Необходимо согласование с эксплуатирующими организациями правильность их нанесения и последующей корректировка топографического плана.
Один экземпляр отчета и топографического плана сдается в архив местного Управления Архитектуры, а заказчику передают технический отчет о проведенных геодезических изысканиях на объекте, оригиналы топографических планов с печатями эксплуатирующих организаций и цифровую модель местности в формате DWG. Физические лица получают только топографический план.
Топографические работы призваны решать вопросы оформления земли, содержания топографических карт, их обновления и составления, классификации и точности. Они включают в себя полевые и камеральные работы, проводятся для того, чтобы создать точные топографические планы и карты, позволяют извлечь информацию о местности, необходимую для точного проектирования и строительства объекта.
Одним из важных вопросов, который необходимо решить на предварительном этапе строительства здания или сооружения, является — кем будет осуществлена топографическая съёмка участка. Данная процедура требуюет специфических знаний и практических навыков в данной сфере, поэтому доверять её лучше специалистам, имеющим опыт работы в этом направлении.
Правильно сделанная геодезическая съёмка местности — залог корректного составления генерального плана строительства здания или сооружения, а это, в свою очередь, ускоряет процесс выполнения намеченных работ.